Sudeten11 Living
In der Sudetenstraße 11 in Eppertshausen entsteht ein anspruchsvoll geplantes Mehrfamilienhaus mit fünf exklusiven Wohneinheiten. Die Architektur überzeugt durch eine klare, moderne Linienführung, großzügige Fensterflächen und einen hochwertigen Materialmix.
Das Gebäude wird nach aktuellen energetischen Standards (KfW 70) errichtet und bietet damit eine zukunftssichere, effiziente und nachhaltige Bauqualität. Jede Wohnung profitiert von durchdachten Grundrissen, optimaler Belichtung und einer harmonischen Verbindung aus Funktionalität und Ästhetik.






Der Rohbau wird in massiver Stahlbeton- und Kalksandsteinbauweise ausgeführt und mit einem Wärmedämmverbundsystem energetisch optimiert. Die Innenwände kombinieren tragende Massivbauweise mit modernen Trockenbaulösungen für hohe Flexibilität und präzise Oberflächen. Im Ausbau setzt das Projekt auf dreifach verglaste Fenster, elegante Naturstein- und Parkettböden, Fußbodenheizung,
eine moderne Luft-Wärmepumpenanlage, hochwertige Türen, Sanitärkeramik führender Marken sowie eine vollständige Elektro- und Multimediatechnik auf zeitgemäßem Niveau. Balkone, Terrassen und Außenflächen werden mit langlebigen Materialien hergestellt und fügen sich harmonisch in das Gesamtbild ein.






Sudeten11 Living liegt in einem ruhigen, gewachsenen Wohngebiet von Eppertshausen – geprägt von kurzen Wegen, guter Infrastruktur und idealer Anbindung Richtung Frankfurt, Offenbach und Darmstadt. Die Kombination aus moderner Architektur, solider Bauausführung und hochwertigem Innenausbau schafft ein
Wohnensemble, das gleichermaßen Wertbeständigkeit, Komfort und zeitgemäße Wohnqualität bietet. Dieses Projekt spricht Käufer an, die ein gepflegtes Umfeld, moderne Technik und ein klar strukturiertes, hochwertiges Wohnkonzept zu schätzen wissen.
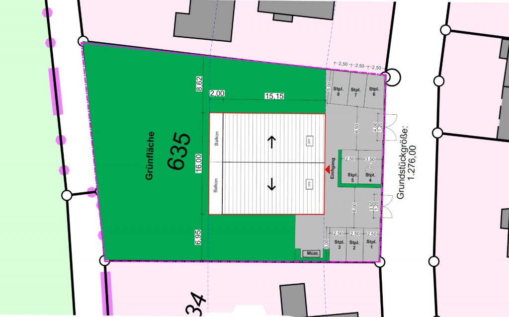
Adresse: Sudetenstraße 11, 64859 Eppertshausen
Objektart: Neubau – Mehrfamilienhaus
Wohneinheiten: 5 exklusive Eigentumswohnungen
Grundstücksgröße: ca. 1.274 m²
Bauweise: Massivbau (Stahlbeton & Kalksandstein) mit Wärmedämmverbundsystem
Energiestandard: KfW-Effizienzhaus 70
Etagen: UG, EG, 1. OG, DG
Wohnungsgrößen: variierende, modern geschnittene 2–4 Zimmer Wohnungen
Heizsystem: zentrale Luft-Wärmepumpe mit Fußbodenheizung
Außenanlagen: angelegte Grünflächen, gepflasterte Wege, Terrassen/Balkone
Stellplätze: 8 PKW-Stellplätze